
El pasado viernes 8 de enero el alcalde de Boadilla del Monte, Antonio González Terol, presentó las inversiones contempladas para 2016 en los Presupuesto Municipales acompañado de la concejal de Economía, Hacienda y Comercio, María del Mar Paños.
Entre las inversiones cabe destacar la nueva fase de rehabilitación por valor de 1.6 millones de euros de diferentes zonas del Palacio del Infante don Luís, con la intención de habilitar estancias para realizar exposiciones y otras actividades culturales, así como la zona de las huertas.
Otra gran inversión será la renovación del alumbrado de la urbanización del Olivar de Mirabal por valor de 1.4 millones de euros. Por otro lado, 1,3 millones se destinarán a a la mejora de algunos Parques Infantiles y al mantenimiento de infraestructuras y equipamientos públicos como aceras, parques, etc.
La renovación de la red de abastecimiento de agua y la mejora de la piscina de verano del Complejo Deportivo Municipal contará con un presupuesto de 1.25 millones.
Otro de los puntos que destacó González Terol fue la renovación del cementerio municipal, a esta actuación se destinarán 650.000 euros. También continuará el Plan de Asfaltado por valor de medio millón de euros.
Las escuelas infantiles y colegios públicos recibirán una inyección de 375.000 euros, un cincuenta por ciento más que en 2015.
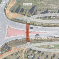
La carretera M-513 será protagonista de diversas inversiones para mejorar los accesos y la movilidad en el municipio con una asignación de 1.8 millones de euros. Un acceso directo desde la carretera a la Avenida Infante D. Luís y el desdoblamiento de uno de los tramos de la carretera contará finalmente con una inversión total de 9 millones a ejecutar en varios años.
Estas y otras obras se suman a las realizadas en la anterior legislatura, que incluyeron importantes infraestructuras como el segundo centro de mayores, la nueva biblioteca "José Ortega y Gasset", la renovación del alumbrado en Las Lomas y Valdecabañas, la primera fase de la rehabilitación del Palacio del Infante D. Luis, el sistema de video-vigilancia, el Aula Medioambiental, el Pabellón Deportivo Rey Felipe VI, el Parque Lineal Juan Carlos I, el carril- bici o la pasarela peatonal sobre la M-513, que comunica el casco histórico con urbanizaciones como El Encinar o Norte Encinar.








