
El Ayuntamiento de Boadilla del Monte ha iniciado el proceso de licitación para la construcción de una nueva pasarela sobre la carretera M-513.
Esta infraestructura está pensada para peatones y ciclistas y permitirá conectar las zonas de El Pastel y Valenoso, donde residen aproximadamente 15.000 vecinos.
La futura pasarela se suma a otras tres ya instaladas sobre esta vía, que comunican distintos puntos del municipio: el pasillo verde de Viñas Viejas con el de Valenoso; las urbanizaciones históricas con el casco urbano; y los barrios de Olivar de Mirabal, El Pastel, Cortijo Sur y La Cárcava con la avenida Víctimas del Terrorismo, también situada en Valenoso.
Diseño y características técnicas
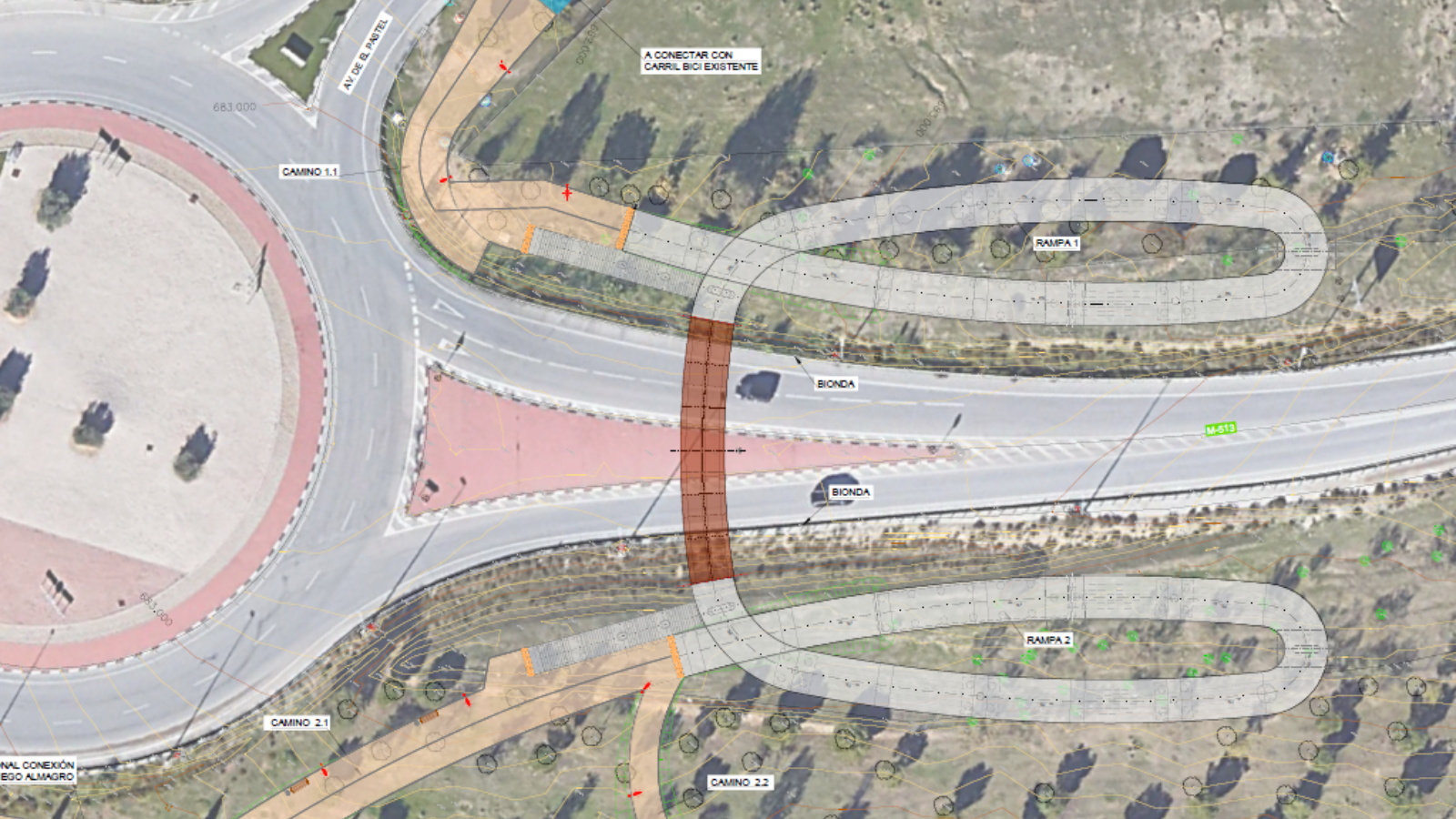
El nuevo paso elevado tendrá una longitud total de 250 metros y contará con un tramo central formado por un cajón de acero, además de rampas de acceso de hormigón armado. El acabado exterior se realizará con una película protectora de óxido rojizo, que armonizará con el entorno paisajístico y urbano de la zona.
Asimismo, el proyecto incluye la instalación de alumbrado público y mobiliario urbano, así como las modificaciones necesarias en las infraestructuras existentes para garantizar la correcta implantación de la pasarela.
Inversión y plazos de ejecución
El presupuesto de licitación asciende a casi tres millones de euros, y las empresas interesadas podrán presentar sus ofertas hasta el 10 de noviembre.
Según las previsiones municipales, la pasarela podría estar operativa durante el primer trimestre de 2027, ofreciendo una alternativa segura y sostenible para los desplazamientos a pie o en bicicleta entre ambos barrios.








